首頁
台灣
世界
動物
圖文
娛樂
女生
出門
動漫
生活
公關專欄
編輯專欄
網人365
 
選擇語言:
還原 简体 繁體
  • 關於我們
  • 徵才
  • 聯絡我們
  • 刊登廣告
  • 安卓APP
  • 愛瘋APP

TEEPR 亮新聞

選單
  • 首頁
  • 台灣
  • 世界
  • 動物
  • 娛樂
    • 電影
    • 星聞
    • 影評
    • 美漫
  • 圖文
  • 女生
    • 時尚單品
    • 美妝
    • 感情
  • 出門
    • 旅遊
    • 美食
  • 動漫
    • 動漫宅
    • 遊戲
    • Cosplay
  • 生活
    • 求職
    • 藝術
    • 知識
    • 星座
    • 科技
    • 小物
    • 親子
  • 公關專欄
  • 編輯專欄
    • 蘑菇宅
    • 雪若Q談人蔘
    • Adrian
    • ChloE直講
  • 網人365
    • 今日紅什麼
    • 本週主打星
  • TEEPR原創影片
    • 叭啦叭啦研究室
    • TEEPR推一波
    • 亮新聞
  • IG專區
首頁
台灣
世界
動物
圖文
娛樂
女生
出門
動漫
生活
公關專欄
編輯專欄
網人365

傲嬌茉茉寫的文章

去天堂找姊姊了!彰化無照車禍案「妹妹搶救251天亡」 生前託夢:想回家了

October 30, 2024
台灣

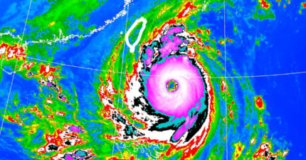
康芮持續擴大!全台風雨時程一次看 專家警告:不是鬧著玩的

October 30, 2024
台灣

男星萬聖節cosplay席琳狄翁「100%神還原」 本人也皺眉:哪個是我

October 30, 2024
星聞, 台灣

康芮暴風圈增強到320公里!近20年來「襲台最大」

October 30, 2024
台灣

從影超過半世紀!資深男星「曾透過兒子捐肝續命」 今病逝享壽82歲

October 30, 2024
星聞, 台灣

明停班停課?風雨預測更新 「7縣市」達標了

October 30, 2024
台灣

男生最不願娶的「女生職業排行榜」 護理師竟是第6

October 30, 2024
世界

被嗆「不婚不生老了就知道」 他愣:是要知道什麼?

October 30, 2024
台灣

北市隨機捅人!騎士中數刀「鮮血直流」躲飲料店求救

October 29, 2024
台灣

巴士遭撞墜落山谷!死亡人數增至20人 肇事司機棄車跑了

October 29, 2024
世界

新北爆凶殺案!女房東遭砍10刀「倒血泊抽動」又被掐脖直到斷氣 死者驚人身分曝

October 29, 2024
台灣

外送員「抓浪貓」丟下26樓!拍片記錄斷氣瞬間 平台發聲了

October 29, 2024
世界, 動物
跳轉頁面« 第一頁‹ 上一頁237238239240241242243244245246247下一頁 ›最後一頁 »
← Older posts
Newer posts →
TEEPR原創影片
網人365
編輯專欄
公關專欄
生活
動漫
出門
ChloE直講
女生
娛樂
Travel Seefood
科技
小物
Adrian
圖文
雪若Q談人蔘
動物
美漫
親子
動漫宅
Jane的假的
影評
星座
遊戲
美妝
蘑菇宅
台灣
本週主打星
美食
世界
知識
Cosplay
時尚單品
叭啦叭啦研究室
電影
Girls Talk!
星聞
今日紅什麼
藝術
亮新聞
感情
旅遊
IG專區
激辯擂台
TEEPR推一波
求職
TEEPR 亮新聞 (Awesome Co. Ltd.) Copyright © 2014
DMCA.com Protection Status
關於我們
服務條款
隱私條款
聯絡我們
爆料信箱:[email protected]
聯絡專線:+886-2-7709-1699
 
兒童不宜內容

此內容只給年滿18歲的讀者觀看,如非18歲請退出!

我大人了啦!
未滿18歲
cwv3_den_title

cwv3_den_msg

未滿18歲