首頁
台灣
世界
動物
圖文
娛樂
女生
出門
動漫
生活
公關專欄
編輯專欄
網人365
 
選擇語言:
還原 简体 繁體
  • 關於我們
  • 徵才
  • 聯絡我們
  • 刊登廣告
  • 安卓APP
  • 愛瘋APP

TEEPR 亮新聞

選單
  • 首頁
  • 台灣
  • 世界
  • 動物
  • 娛樂
    • 電影
    • 星聞
    • 影評
    • 美漫
  • 圖文
  • 女生
    • 時尚單品
    • 美妝
    • 感情
  • 出門
    • 旅遊
    • 美食
  • 動漫
    • 動漫宅
    • 遊戲
    • Cosplay
  • 生活
    • 求職
    • 藝術
    • 知識
    • 星座
    • 科技
    • 小物
    • 親子
  • 公關專欄
  • 編輯專欄
    • 蘑菇宅
    • 雪若Q談人蔘
    • Adrian
    • ChloE直講
  • 網人365
    • 今日紅什麼
    • 本週主打星
  • TEEPR原創影片
    • 叭啦叭啦研究室
    • TEEPR推一波
    • 亮新聞
  • IG專區
首頁
台灣
世界
動物
圖文
娛樂
女生
出門
動漫
生活
公關專欄
編輯專欄
網人365

地方少女寫的文章

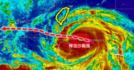
強颱樺加沙還在長大!「這些地區」影響最劇  風雨搖滾時段曝

September 22, 2025
台灣

颱風假有機會?今午後「10縣市」達停班課標準

September 22, 2025
台灣

安檢被攔!「1款包包」禁止帶上飛機 女乘客愣:被當成凶器

September 19, 2025
旅遊, 台灣, 世界, 知識

不只冷氣 「1小家電」竟長年穩座高耗電前10名!能源署教2招省電

September 19, 2025
知識, 台灣

鬼門關撞上921!命理師警告「5生肖」晚上11點前快回家 

September 19, 2025
台灣

交通新規將上路!違者「重罰6萬」累犯罰鍰無上限 汽機車都要注意

September 19, 2025
台灣

樺加沙恐成強颱!全台躲不掉「有望放颱風假?」 專家揭風雨時程

September 19, 2025
台灣

3颱亂舞!樺加沙「又大又強」恐直逼強颱 專家警告:會有災情

September 19, 2025
台灣

插座「出現1情況」應馬上停用!台電警告:恐釀火災

September 19, 2025
台灣, 知識

徵婚「只接受4種人」女老師:其他別浪費時間 自身條件網全看傻

September 18, 2025
台灣

鬼門就要關!「別說5句話」命理師警告:好兄弟跟你回家

September 18, 2025
台灣

直播濾鏡突失效!楓葉姊姊「真面目」震撼曝光

September 18, 2025
星聞, 世界
跳轉頁面« 第一頁‹ 上一頁4041424344454647484950下一頁 ›最後一頁 »
← Older posts
Newer posts →
TEEPR原創影片
網人365
編輯專欄
公關專欄
生活
動漫
出門
ChloE直講
女生
娛樂
Travel Seefood
科技
小物
Adrian
圖文
雪若Q談人蔘
動物
美漫
親子
動漫宅
Jane的假的
影評
星座
遊戲
美妝
蘑菇宅
台灣
本週主打星
美食
世界
知識
Cosplay
時尚單品
叭啦叭啦研究室
電影
星聞
今日紅什麼
藝術
亮新聞
感情
旅遊
Girls Talk!
IG專區
激辯擂台
TEEPR推一波
求職
TEEPR 亮新聞 (Awesome Co. Ltd.) Copyright © 2014
DMCA.com Protection Status
關於我們
服務條款
隱私條款
聯絡我們
爆料信箱:[email protected]
聯絡專線:+886-2-7709-1699
 
兒童不宜內容

此內容只給年滿18歲的讀者觀看,如非18歲請退出!

我大人了啦!
未滿18歲
cwv3_den_title

cwv3_den_msg

未滿18歲